צמוד לשדרות בן גוריון ברחוב שקט דירת 3 חדרים שמורה במחיר אטרקטיבי
פרטי הנכס
נכס מס' 4104
-ט
| כתובת: | גוטליב 15, תל אביב-יפו |
|---|---|
| איזור: | מרכז תל אביב, הצפון הישן, |
| סוג רחוב: | רחוב שקט |
| סוג בניין: | לשימור (באוהאוס/ אקלקטי) |
| סוג הנכס: | דירה |
| מחיר: | 2,580,000 ש"ח |
קומה :
1
סה"כ קומות :
3
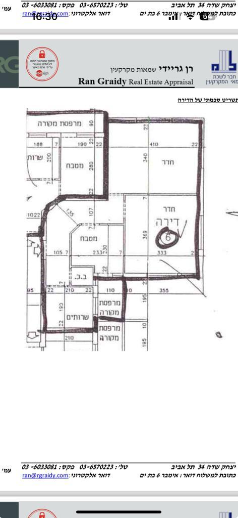
מטר מרובע :
55
מס' חדרים :
2
מס' חדרי שינה :
2
מס' מקלחות :
1
מרפסת סגורה :
יש
מצב הנכס :
שמור
מרפסת שמש :
אין
סוג חניה :
ברחוב
מעלית :
אין
כיווני אויר :
צפון , מזרח , מערב
בשץ פינת גוטליב מטרים ספורים משד בן גוריון, דיזנגוף וחוף הים.
בניין באוהאוס לשימור,
2 חדרים+חלל למטבח זקוקה לשיפוץ ומלאת פוטנציאל
מרווחת עם המון פוטנציאל ואור טבעי
קומה ראשונה גבוהה
3 כיווני אוויר - מערב, מזרח, צפון
-תקרות גבוהות (באחד מחדרי השינה יש גלריה)
שטח בנוי של 55 מ"ר לפי שמאות
פוטנציאל אדיר לדירת AirBnb
מפה
צור קשר
| כתובת: | מנחם בגין 6, תל אביב יפו, ישראל |
|---|---|
| טלפון: | 054-4950863 |
| דוא"ל: | avnieyal@gmail.com |









